地址:扬州市泰州路45号
门诊服务:0514-82099009
急诊服务:0514-82099016
预约咨询:0514-82209111
健康管理中心:0514-82099799
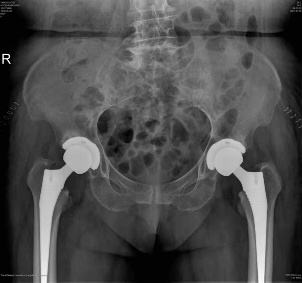
7月2日,我院骨科关节重建组徐松诊疗团队顺利为一名双侧髋关节骨性关节炎患者实施了双侧人工全髋关节置换手术。该手术为我院首次同期为双侧股骨头坏死患者进行人工全髋关节置换手术,突破了需要分两次进行全髋关节置换的治疗传统,缩短了该类疾病的治疗周期,减轻了该类患者的经济负担,标志着我院骨科关节重建技术水平迈上新的台阶。
杨女士今年71岁,长年遭受双侧髋部疼痛的困扰,基本丧失行走能力和劳动能力,生活质量受到严重影响。近日,她慕名来到我院骨科就诊,骨科副主任医师徐饶仔细读片后判断杨女士双侧髋关节疼痛的主要原因是双侧髋臼发育不良继发双侧股骨头坏死所致。目前杨女士的双侧股骨头已经磨损变形,关节间隙消失且疼痛明显,已经具备了进行双侧全髋关节置换的指征。
面对这种情况,传统做法是先为其进行一侧的髋关节置换,待该侧髋关节康复后再行对侧的髋关节置换,这样可以降低手术医师的技术难度,平摊相应的手术风险。但首次手术后康复周期较长,一般需要3-6个月,并且因为对侧髋关节功能尚未恢复,患者往往只能卧床休息,这样就极大的降低了患者的生活质量,增加了护理负担及经济负担,甚至有部分患者会出现长期卧床并发症从而失去二次手术的机会。
最终徐松诊疗团队决定打破传统,同期一次性为其行双侧全髋关节置换手术,这样不仅能够极大地缩减该类患者的治疗周期,而且可以让患者早期下床活动,大大提高患者的术后生活质量。
徐饶解释到,将两次手术集中到一次进行,不是简单的1+1=2的问题,随着手术时间、麻醉时长、手术出血量的增多,相应的手术风险也要成倍增加。因此需要手术医师在长时间、大量的髋关节置换实践操作中做到足够的经验技术积累,使该类手术的出血量及手术时间稳定保持在较低水平,在此基础上才能进行单次双侧髋关节的置换,否则患者往往很难耐受单次双侧手术所引起的手术时间延长以及术中出血量增加等问题。
考虑到手术风险的增大,术前麻醉科副主任张建友、副主任医师姚宏苏对患者进行了详细的风险评估,并制定了相应的风险预案,最终手术进展顺利。按照快速康复计划,该患者在术后第3天即已扶助行器下床进行功能锻炼,术前双侧髋关节疼痛及下肢不等长症状已完全消失。

